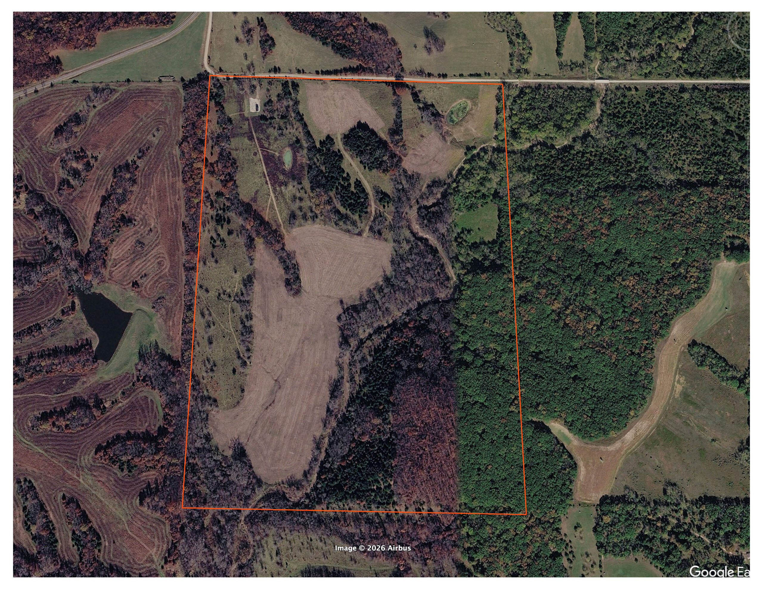
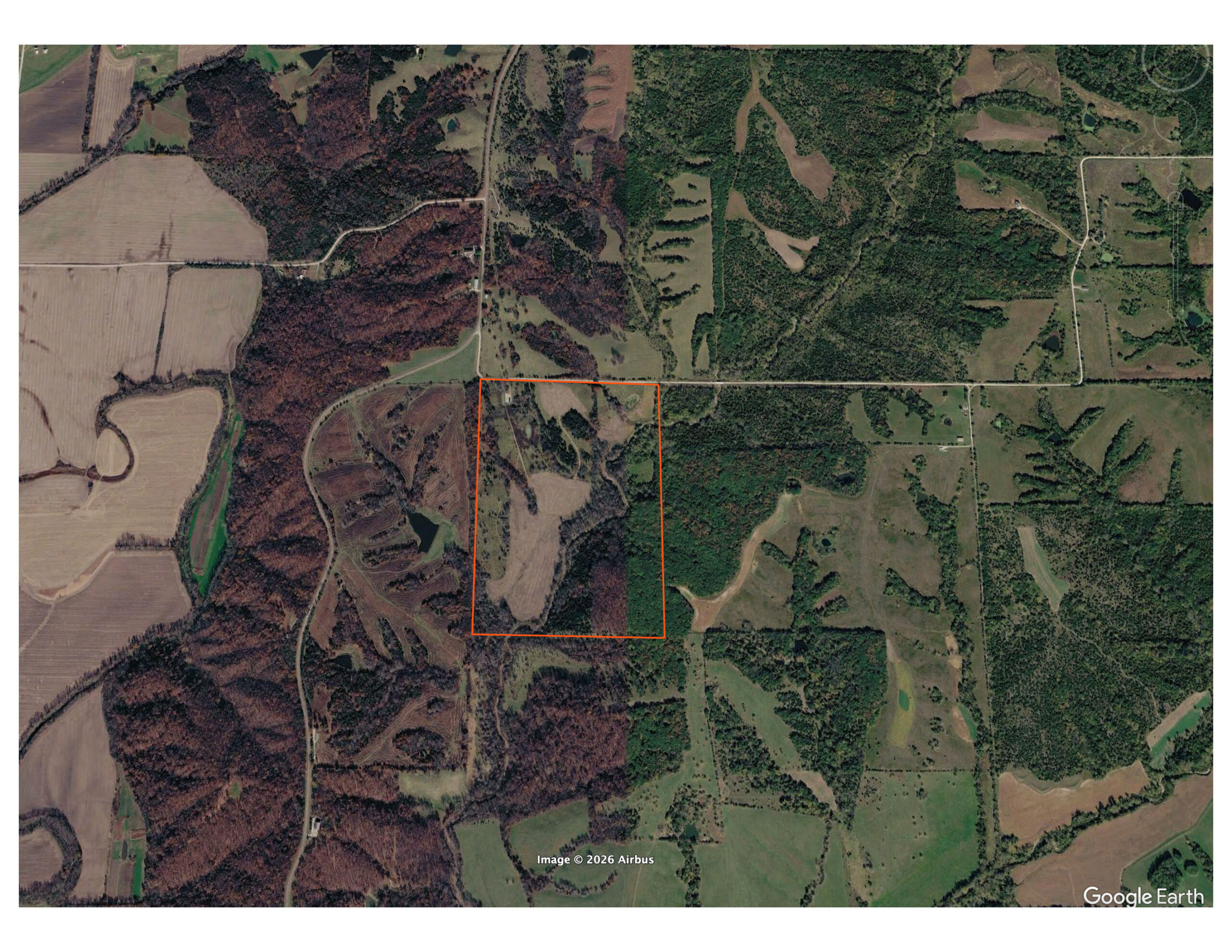
Hunting Farm with a Cabin in Northern Missouri
Price:
Pending
Acreage:
116
County:
Mercer
State:
Missouri
Property Description
Located in arguably the best-managed hunting neighborhood in the Midwest, farms in this corridor on the Mercer and Harrison County line just south of Iowa rarely hit the public market. Offering a total of 116 acres and a newly built cabin, consisting of a mix of mature marketable timber, tillable cropland, dense grassland, cedar thickets, a live creek, two ponds, four food plot locations, three Redneck 10-foot tower blinds, and a convenient trail system throughout. The best thing about this farm is that it offers the opportunity to be inside a neighborhood with some of the best deer and turkey hunting in the nation, but also offers the cabin set-up for a memorable hunting camp experience with friends and family in a quiet and beautiful part of the country.The timber shows no evidence of ever being harvested, with huge stands of white oaks and walnuts that roll alongside Connor Branch Creek. There are 25 acres planted in cropland that consists primarily of productive bottomland soils surrounded by big timber or thick bedding areas. The cabin is situated on the northwest corner behind a gated entrance, 150 yards off blacktop on a large gravel pad. There are gorgeous views here of the rolling topography, and this location provides great access utilizing the trail system or roadway to access blind and stand locations. Between a live creek and two ponds, there is plenty of year-round water for wildlife. This farm holds more acres of cropland than any surrounding property. Surrounded by majority CRP and timber on all sides, this farm is a serves as a major feeding area for wildlife throughout the year. The farm is 4 miles south of Iowa in a neighborhood that consists of many large landowners who practice extensive QDM practices with a very high deer and turkey population. The seller had encounters with two B&C caliber deer while archery hunting with his kids last fall. These deer were never harvested to the seller’s knowledge, and there is no question that there are several more in the area. Call Land Broker Will Wiest for additional information!
Property Features
- 116 acres 4 miles south of Pleasanton, Iowa
- Located on the Harrison and Mercer County line
- Surrounded by large landowners within QDM Neighborhood
- Extremely high population of deer and turkey
- 14x28 cabin with water and electric on 7200 square foot gravel pad
- 64 +/- acres of timber
- 25 +/- acres of cropland leased at $180 per acre - $4,500 annually
- 21 +/- acres of dense grasses and cedars
- 5 +/- acres between four food plot locations
- Live year-round Connor Branch Creek
- Beautiful timber with tons of mature marketable oaks and walnuts
- High Soil NCCPI of 76.9
- Three gated entrances and 60 foot wide farm equipment entrance
- Extensive trail system with four rip rap crossings installed in 2023
- Three Redneck 6x6 Buck Palace blinds with 10 foot tower stand included
- Each blind is positioned with quiet & hidden access overlooking food plot
- Cabin is fully insulated (including floor), 4 insulated windows, and covered porch
- Cabin contains a lofted interior, full cedar-lined interior, and laminate floor
- Cabin is furnished, minisplit HVAC unit, a fridge, kitchenette & WiFi router
- Located 20 minutes to Lamoni, 1.5 hours to Des Moines, and 2 hours to Kansas City
- 2025 Real Estate Property Tax was $252.52
